Slajd 1
Slajd 2

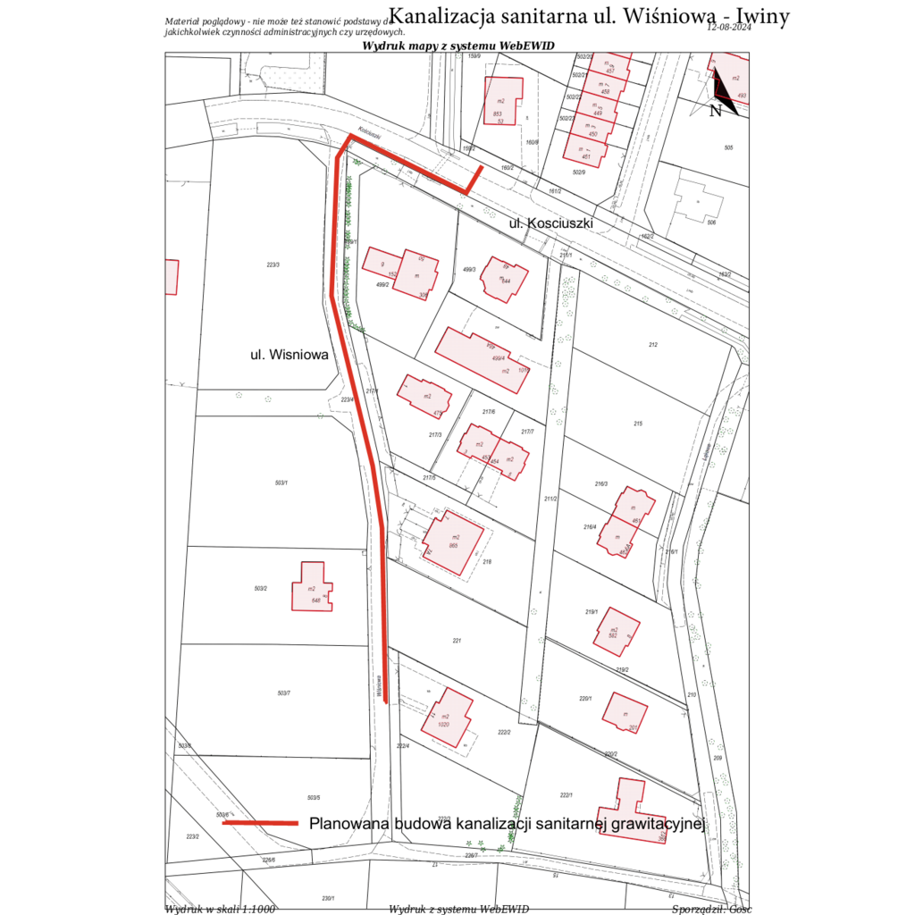
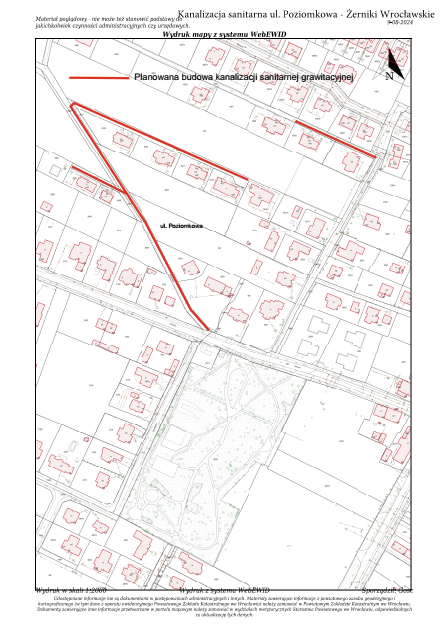
Budowa kanalizacji sanitarnej w aglomeracji wrocławskiej, Gmina Siechnice

ZGK Sp. z o.o. jest w trakcie realizacji rozbudowy sieci kanalizacji sanitarnej w miejscowościach Żerniki Wrocławskie i Iwiny. W dniu 26.05.2025 r. została podpisana umowa z NFOŚiGW o dofinansowanie ww. inwestycji z programu Fundusze Europejskie na Infrastrukturę, Klimat, Środowisko 2021-2027, działanie FENX.01.03. Planowana rozbudowa obejmuje 17 inwestycji o łącznej długości 8,4 km sieci kanalizacji sanitarnej w Żernikach Wrocławskich oraz 1,1 km w Iwinach

Poniżej zamieszczamy mapy z planowanym zakresem inwestycji oraz aktualizacją szacowanych terminów wykonania prac budowlanych.

 

Loading…
Loading the web debug toolbar…
Attempt #