Slajd 1
Slajd 2

Rozbudowa gospodarki wodno-ściekowej na terenie aglomeracji Siechnice

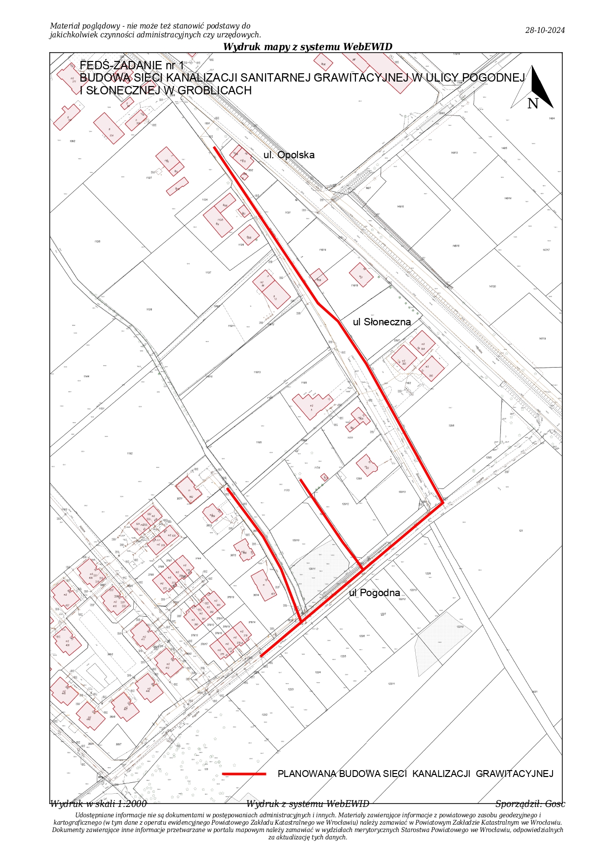
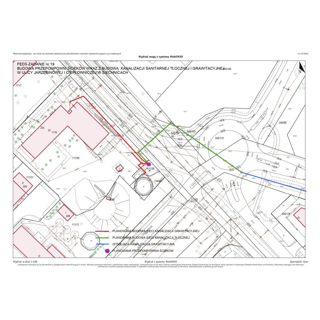
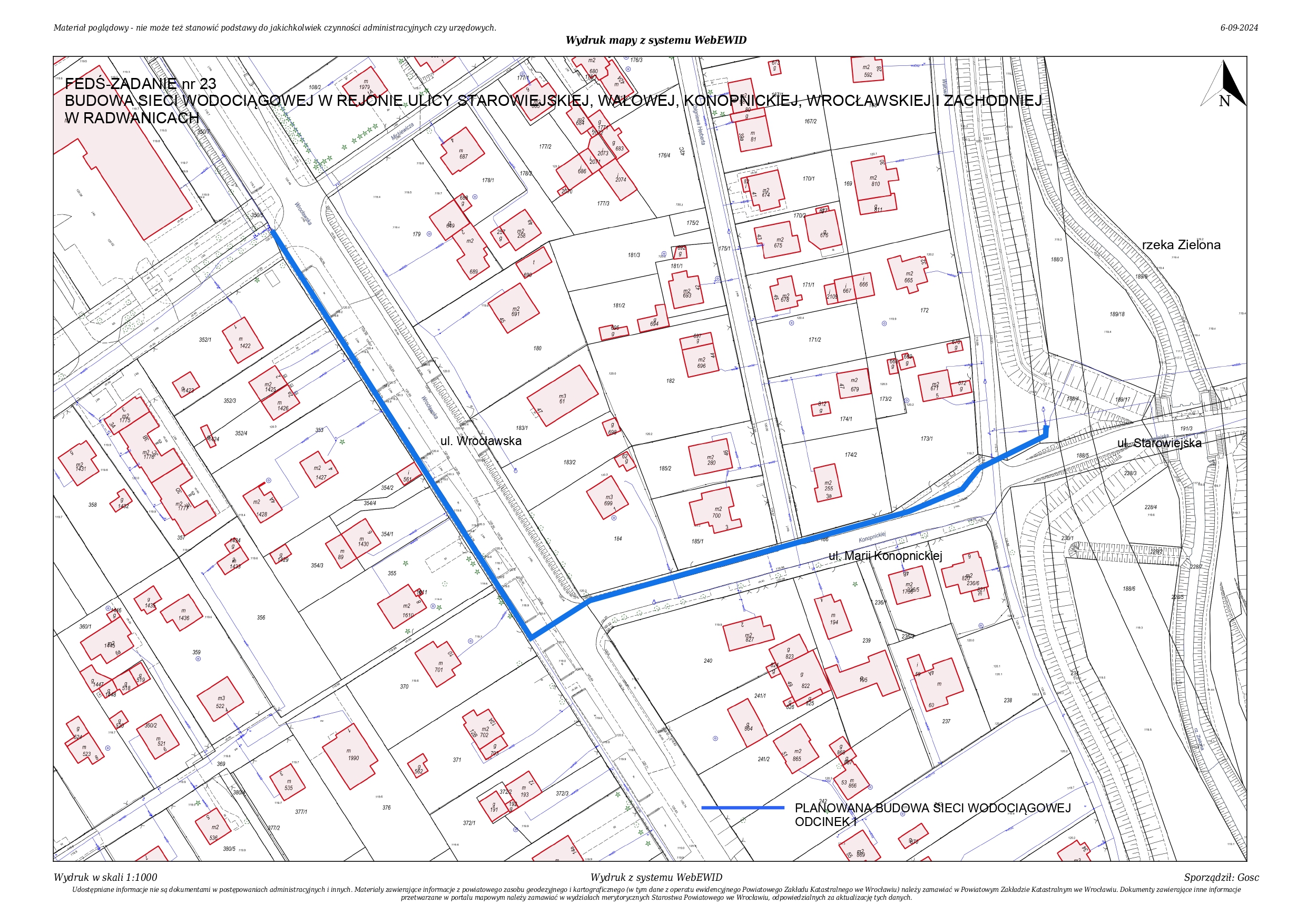
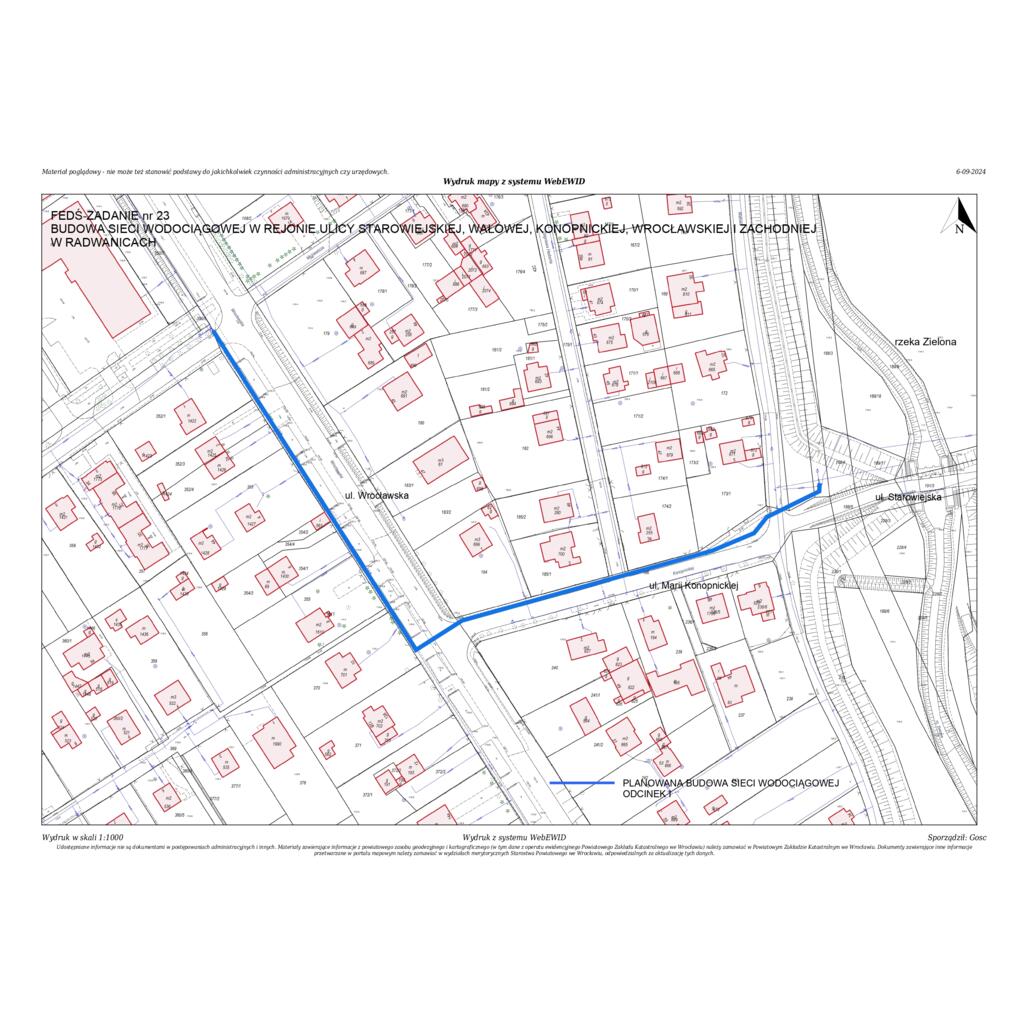
W dniu 30.01.2025 r. ZGK Sp. z o.o. złożyła wniosek w ramach programu FEDS 2021-2027 finansowanego z Europejskiego Funduszu Rozwoju Regionalnego o dofinansowanie inwestycji na terenie aglomeracji. Informujemy iż uchwałą Zarządu Województwa Dolnośląskiego z dnia 10.03.2025 nasz projekt został wybrany do dofinansowania. 

Poniżej zamieszczamy mapy z planowanym zakresem inwestycji oraz szacowanym terminem wykonania prac budowlanych. Po kliknięciu na odnośnik: plan wieloletni mamy możliwość pobrania wieloletniego planu rozwoju i modernizacji urządzeń wodociągowych i urządzeń kanalizacyjnych na lata 2024-2027.

 

 

Loading…
Loading the web debug toolbar…
Attempt #